
1/7
50 000 $ US USD
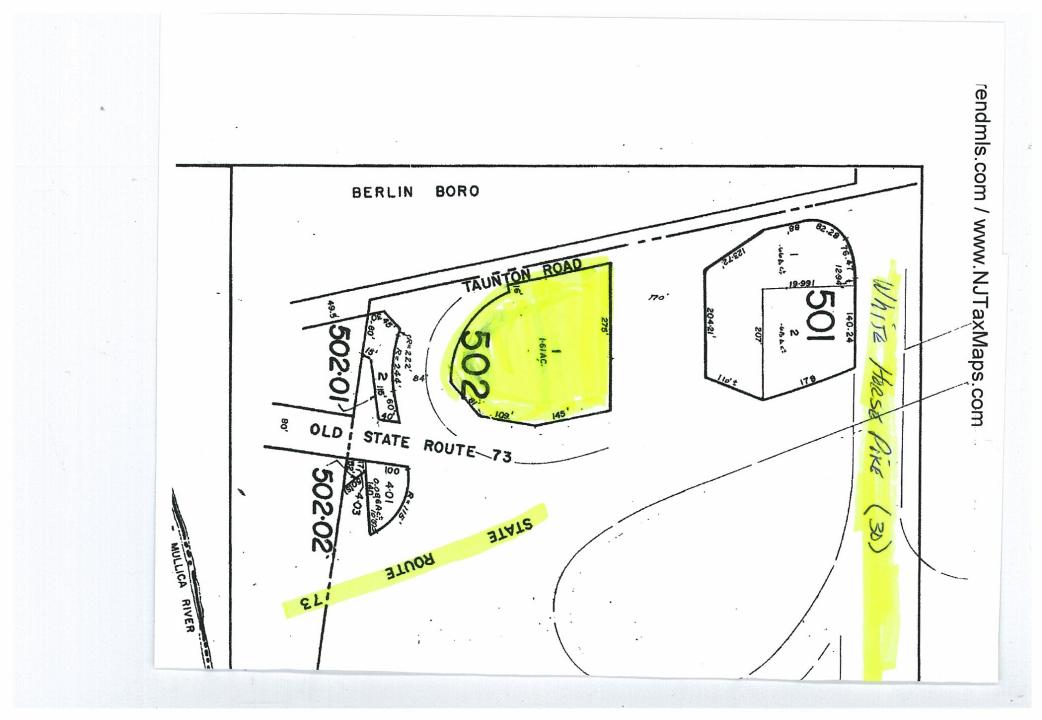
Terrain vacant (0 à 10 acres) à vendre, 77 Taunton Rd, Atco, New Jersey 08004, États-Unis
- #MLS6231536
- Surface vendable minimum
4 694 m² (1,16 ac)
Annonce par CENTURY 21 Reilly Realtors
La propriété suivante,Terrain vacant (0 à 10 acres), située 77 Taunton Rd, Atco, New Jersey 08004, États-Unis est présentement à vendre.77 Taunton Rd, Atco, New Jersey 08004, États-Unis affiche un prix de50 000 $ US.
Date mise à jour: 5 févr. 2016
Charles Maimone
CENTURY 21 Reilly Realtors
Caractéristiques de la propriété
Lot/Terrain
- Superficie du terrain/lot:
4 694 m² (1,16 ac)
Construction
- État du bâtiment: Construction Neuve
Description
Commerical lot on Taunton Rd. A few hundred feet off Route 73 and Route 30 (White Horse Pk), public water, private sewer. Buyer responsible for any and all approvals.
Emplacement
77 Taunton Rd, Atco, New Jersey 08004, États-Unis