
1/6
$169,450 USD
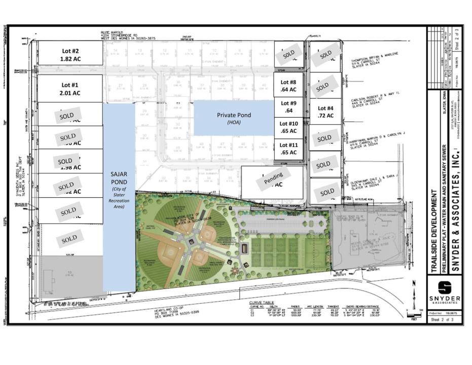
Residential Lot for Sale, 504 500th Avenue, Slater, Iowa 50244
- MLS#727578
Listed By CENTURY 21 Signature Real Estate
The Residential Lot for Sale located at 504 500th Avenue, Slater, Iowa 50244 is currently for sale. 504 500th Avenue, Slater, Iowa 50244 is listed for $169,450.
Date Updated : Dec 2, 2025
Matt Sievers
CENTURY 21 Signature Real Estate
Property features
Property
- Other building structures: Storage Barn/Shed
Interior Features
- Floors: Wood
Description
Seize the opportunity to own one of the last two multi-acre lots available off 500th Street in Slater. These spacious parcels offer endless potential for your dream buildwhether that's a slab-on-grade barndominium or a large-scale custom home. With ample room for an additional oversized shed, you'll have the perfect setup for extra storage, a workshop, or hobby space. Currently offered as vacant land, each lot is a blank canvas ready to be transformed into so much more.
Location
504 500th Avenue, Slater, Iowa 50244